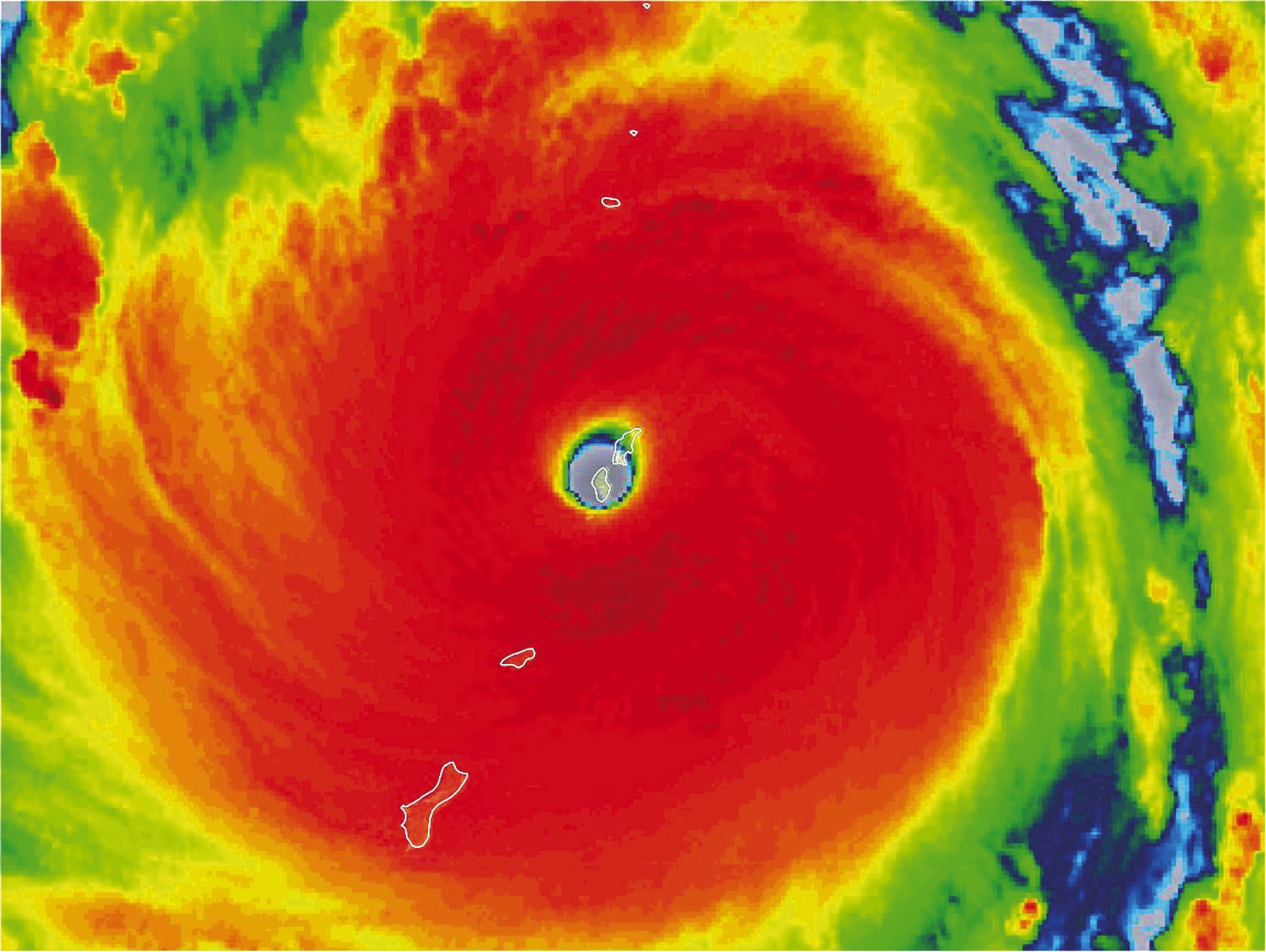
- | Crée le 26.10.2018 à 05h44 | Mis à jour le 26.10.2018 à 07h52ImprimerSur cette image, on voit l’œil du typhon exactement au dessus les îles Tinian et Saipan. Photo DR
MÉTÉO. Selon Radio Nouvelle-Zélande, au moins deux personnes ont été blessées et emmenées à l'hôpital à Tinian après le passage de Yutu, un typhon de catégorie 5 qui a dévasté hier les Mariannes du Nord.
Les autorités ont appelé la population à rester à l’abri car les conditions météo étaient encore excessivement difficiles. Même les services de secours ont été priés de ne sortir qu’en cas d’urgence absolue. Le service météo américain a mis en garde contre une onde de tempête qui pourrait atteindre les 7 mètres.
Le typhon a généré des vents soufflant à plus de 350 km/h sur l’île de Tinian, laissant derrière lui une terre entièrement dévastée alors qu'il poursuivait sa course à l'ouest. Yutu a eu aussi un impact significatif sur la capitale, Saipan, située à seulement 23 km au nord.
Yutu est passé de la catégorie 1 à la catégorie 5 en une journée. Il est ainsi devenu le cyclone tropical le plus puissant de l'année. Il s'agit d'une première pour ces îles (Saipan et Tinian) : aucun cyclone de catégorie 5 n'avait directement touché l’archipel depuis plus d'un siècle et le début de la base de données météorologiques de la NOAA.
Selon des habitants, joints par RNZ, ce fut la nuit la plus effrayante de toute leur vie. « C’était terrifiant. Les volets ont été arrachés alors qu’ils avaient été fixés au mur de béton. J’ai eu l’impression d’être dans une machine à laver », a raconté un correspondant de la radio kiwie.
MERCI DE VOUS IDENTIFIER
Vous devez avoir un compte en ligne sur le site des Nouvelles Calédoniennes pour pouvoir acheter du contenu. Veuillez vous connecter.X
J'AI DÉJA UN COMPTEJE N'AI PAS DE COMPTE- Vous n'avez pas encore de compte ?
- Créer un nouveau compte
Vous avez besoin d'aide ? Vous souhaitez vous abonner, mais vous n'avez pas de carte bancaire ?
Prenez contact directement avec le service abonnement au (+687) 27 09 65 ou en envoyant un e-mail au service abonnement. -
-
DANS LA MÊME RUBRIQUE
-
VOS RÉACTIONS




Les transports aériensà consulter ici











